依据《中华人民共和国城乡规划法》、《行政许可法》、《关于城乡规划公开公示的规定》等有关法律法规,特此公告,公告日期2017年10月26日--2017年12月6日。如有意见和建议,请于公告时间内向我局反馈。
咨询电话:0374—2676216
经办科室:许昌市规委会办公室
经办人:宋涵冰
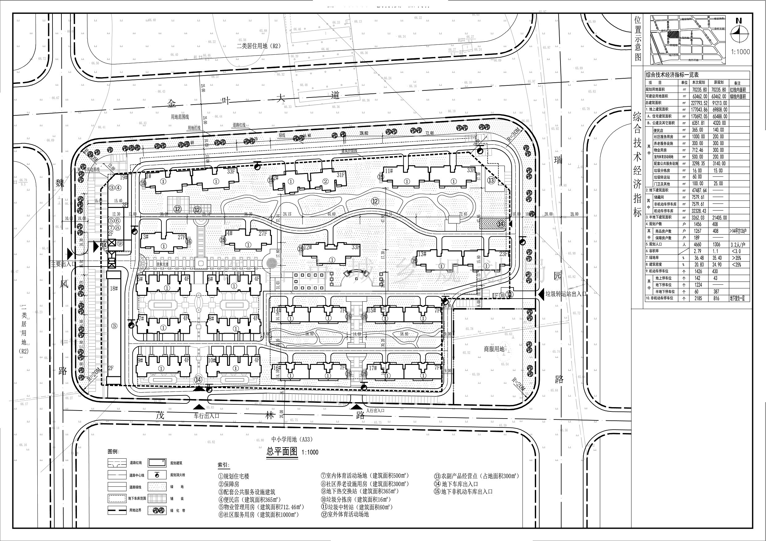
该项目位于金叶大道以南,魏风路以东,茂林路以北,瑞园路以西,规划红线内用地面积70235平方米(105.4亩),规划绿线内用地面积63462平方米(95.2亩)。




当前位置:首页 > 规划公示
依据《中华人民共和国城乡规划法》、《行政许可法》、《关于城乡规划公开公示的规定》等有关法律法规,特此公告,公告日期2017年10月26日--2017年12月6日。如有意见和建议,请于公告时间内向我局反馈。
咨询电话:0374—2676216
经办科室:许昌市规委会办公室
经办人:宋涵冰
该项目位于金叶大道以南,魏风路以东,茂林路以北,瑞园路以西,规划红线内用地面积70235平方米(105.4亩),规划绿线内用地面积63462平方米(95.2亩)。




官方微博
微信公众号